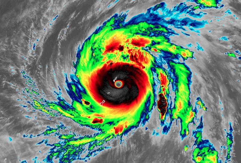
แอตแลนตา 25 ต.ค.- ซูเปอร์ไต้ฝุ่นยู่ทู่ ความรุนแรงระดับ 5 เคลื่อนตัวออกจากดินแดนของสหรัฐในมหาสมุทรแปซิฟิกแล้ว หลังจากพัดถล่มด้วยความรุนแรงที่สุดเท่าที่ดินแดนเหล่านี้เคยประสบมา และอาจพัดผ่านฟิลิปปินส์ ไต้หวัน หรือตอนใต้ของญี่ปุ่น ในสัปดาห์หน้า
เว็บไซต์เวทเธอร์แชนนัลของสหรัฐ รายงานเมื่อไม่กี่ชั่วโมงที่ผ่านมา อ้างศูนย์เตือนภัยไต้ฝุ่นร่วมสหรัฐว่า ซูเปอร์ไต้ฝุ่นยู่ทู่กำลังเคลื่อนตัวออกจากเครือรัฐหมู่เกาะนอร์เทิร์นมาเรียนา ในมหาสมุทรแปซิฟิก ความเร็วลมสูงสุดใกล้ศูนย์กลางยังคงอยู่ที่ระดับ 5 หรือเกือบ 280 กิโลเมตร/ชั่วโมง จึงยังไม่ยกเลิกประกาศเตือนภัยไต้ฝุ่นบนเกาะไซปัน เกาะติเนียน และเกาะโรตา ซึ่งเป็น 3 เกาะหลักทางใต้ และประกาศเตือนภัยพายุโซนร้อนบนเกาะอื่นๆ ทางเหนือ ซูเปอร์ไต้ฝุ่นจะทำให้เกิดลมกระโชกแรง เกิดคลื่นพายุซัดฝั่งไม่ต่ำกว่า 5 ฟุต มีฝนตก 2-5 นิ้ว มากพอจะทำให้เกิดน้ำท่วมฉับพลันและดินถล่มอันตราย
เวทเธอร์แชนนัล พยากรณ์ว่า ซูเปอร์ไต้ฝุ่นยู่ทู่จะอ่อนกำลังลงเล็กน้อยระหว่างเคลื่อนตัวไปทางตะวันตกค่อนตะวันตกเฉียงเหนือ มุ่งหน้าไปยังทะเลฟิลิปปินส์ แต่จะยังคงความรุนแรงระดับ 3-4 ไปจนถึงวันจันทร์หน้าเป็นอย่างน้อย มีโอกาสจะพัดผ่านฟิลิปปินส์ ไต้หวัน และหมู่เกาะริวกิว ทางใต้ของญี่ปุ่น อย่างไรก็ดี ขณะนี้ยังเร็วเกินไปที่จะคาดการณ์ได้ชัดเจนว่า ไต้ฝุ่นจะกระหน่ำพื้นที่เหล่านี้โดยตรง หรือเปลี่ยนทิศทางขึ้นไปทางตะวันออกเฉียงเหนือ.- สำนักข่าวไทย
