
ซูเปอร์ไต้ฝุ่นยู่ทู่อาจพัดผ่านฟิลิปปินส์ ไต้หวัน หรือญี่ปุ่น
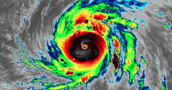
ซูเปอร์ไต้ฝุ่นยู่ทู่ ความรุนแรงระดับ 5 เคลื่อนตัวออกจากดินแดนของสหรัฐในมหาสมุทรแปซิฟิกแล้ว หลังจากพัดถล่มด้วยความรุนแรงที่สุดเท่าที่ดินแดนเหล่านี้เคยประสบมา
ซูเปอร์ไต้ฝุ่นยู่ทู่ ความรุนแรงระดับ 5 เคลื่อนตัวออกจากดินแดนของสหรัฐในมหาสมุทรแปซิฟิกแล้ว หลังจากพัดถล่มด้วยความรุนแรงที่สุดเท่าที่ดินแดนเหล่านี้เคยประสบมา
ทุกโรงเรียนรัฐบาลบนเกาะกวมกลับมาเปิดเรียนวันแรกวันนี้ หลังนักเรียนราว 30,000 คนหยุดพักผ่อนในช่วงปิดเทอมภาคฤดูร้อนภายใต้ความกังวลเกี่ยวกับภัยคุกคามจากเกาหลีเหนือ