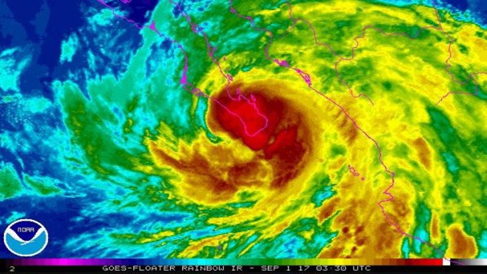
เม็กซิโกซิตี 1 ก.ย.- ศูนย์เฮอริเคนแห่งชาติสหรัฐแจ้งว่า พายุโซนร้อนลิเดียทวีกำลังแรงขึ้นหลังจากเคลื่อนตัวเข้าใกล้ตอนปลายสุดของคาบสมุทรบาฮากาลิฟอร์เนีย ทางตะวันตกของเม็กซิโกเมื่อวานนี้ตามเวลาท้องถิ่น แต่ไม่น่าจะทวีกำลังขึ้นเป็นเฮอริเคน
พายุโซนร้อนลิเดียอยู่ห่างจากรีสอร์ทลอส กาบอสไปทางตะวันตกเฉียงเหนือ 64 กิโลเมตร มีความเร็วลมสูงสุดใกล้ศูนย์กลางที่ 105 กิโลเมตรต่อชั่วโมง เคลื่อนตัวไปทางเหนือค่อนตะวันตกเฉียงเหนือ คาดว่าพายุโซนร้อนลิเดียจะยังคงเป็นพายุโซนร้อนต่อไปอีกหลายวันแม้ทวีกำลังแรงขึ้นแล้ว จากนั้นจะทยอยก่อนกำลังลง อย่างไรก็ดี คำเตือนเฝ้าระวังเฮอริเคนยังคงมีผลสำหรับพื้นที่บางส่วนของจังหวัดบาฮากาลิฟอร์เนียซูร์ เพราะเสี่ยงเกิดคลื่นพายุซัดฝั่งหรือสตอร์มเซิร์จที่เป็นอันตราย และฝนตกหนักที่อาจทำให้น้ำท่วมฉับพลัน ขณะที่พื้นที่ส่วนใหญ่ยังคงมีคำเตือนเฝ้าระวังพายุโซนร้อน.- สำนักข่าวไทย
