
พายุโซนร้อนลิเดียพัดถล่มเม็กซิโก เสียชีวิตแล้ว 4 คน
พายุโซนร้อนลิเดียที่พัดถล่มคาบสมุทรบาฮาแคลิฟอร์เนีย ของเม็กซิโก มีผู้เสียชีวิตแล้ว 4 คน ในจำนวนนี้มี 2 คนถูกไฟดูดเสียชีวิต ส่วนอีก 2 คน จมน้ำขณะพยายามฝ่ากระแสน้ำเชี่ยวไปยังที่ปลอดภัย
พายุโซนร้อนลิเดียที่พัดถล่มคาบสมุทรบาฮาแคลิฟอร์เนีย ของเม็กซิโก มีผู้เสียชีวิตแล้ว 4 คน ในจำนวนนี้มี 2 คนถูกไฟดูดเสียชีวิต ส่วนอีก 2 คน จมน้ำขณะพยายามฝ่ากระแสน้ำเชี่ยวไปยังที่ปลอดภัย
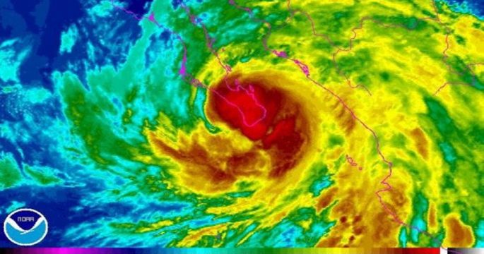
ศูนย์เฮอริเคนแห่งชาติสหรัฐแจ้งว่า พายุโซนร้อนลิเดียทวีกำลังแรงขึ้นหลังจากเคลื่อนตัวเข้าใกล้ตอนปลายสุดของคาบสมุทรบาฮากาลิฟอร์เนีย
ศูนย์เฮอริเคนแห่งชาติสหรัฐ เตือนว่า พายุโซนร้อนลิเดียที่ก่อตัวนอกชายฝั่งรัฐบาฮากาลิฟอร์เนีย ทางตะวันตกของเม็กซิโก มีแนวโน้มจะทวีกำลังขึ้นเป็นเฮอริเคน