ฟลอริดา 2 ก.ย.- ส.ส.เท็ด โยโฮ พรรครีพับลิกัน รัฐฟลอริดา ขอให้ประชาชนในเส้นทางผ่านของเฮอริเคนโดเรียนใส่ใจคำเตือนของทางการ และเตรียมพร้อมรับมือกับเฮอริเคนที่กำลังจะมาถึงอย่างมีสติ
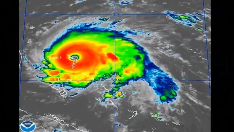
ส.ส.โยโฮให้สัมภาษณ์สถานีโทรทัศน์ฟ็อกซ์นิวส์เมื่อวานนี้ว่า ประชาชนจำเป็นต้องใส่ใจคำเตือนเพราะสถานการณ์ไม่สามารถคาดเดาได้ แม้เปลี่ยนเพียงเล็กน้อยก็อาจมีผลเสียหายร้ายแรงได้ หลังจากเฮอริเคนลูกนี้ทวีกำลังขึ้นเป็นระดับ 5 ความเร็วลม 185 ไมล์หรือ 296 กิโลเมตรต่อชั่วโมง พัดกระหน่ำทางเหนือของเครือรัฐบาฮามาสช่วงเที่ยงวันอาทิตย์ตามเวลาท้องถิ่น ช้ากว่าไทย 11 ชั่วโมง เสี่ยงทำให้ฝนตกหนักนานหลายวัน ขณะที่ชาวรัฐฟลอริดาขึ้นไปจนถึงรัฐนอร์ทแคโรไลนากำลังจับตาอย่างหวั่นใจว่าเฮอริเคนจะพัดผ่านที่ใดต่อไป
เฮอริเคนโดเรียนกำลังเคลื่อนตัวอย่างช้า ๆ กว่าจะผ่านพ้นบาฮามาสอาจต้องรอจนถึงบ่ายวันนี้ตามเวลาท้องถิ่น จากนั้นจะเปลี่ยนทิศขึ้นไปตามชายฝั่งตะวันออกเฉียงใต้ของสหรัฐ โดยอาจจะอยู่นอกชายฝั่งรัฐฟลอริดาและรัฐจอร์เจียในวันอังคารและวันพุธ ก่อนส่งผลกระทบรัฐเซาท์แคโรไลนาและรัฐนอร์ทแคโรไลนาในวันพฤหัสบดี.-สำนักข่าวไทย
