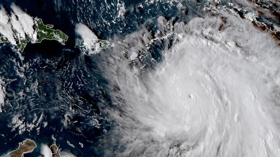
ซานฮวน 19 ก.ย.- หลายประเทศในทะเลแคริบเบียนเตรียมรับมือกับเฮอริเคนมาเรียที่ทวีกำลังเป็นระดับ 5 แล้ว และคาดว่าจะเป็นเฮอริเคนที่จะกระหน่ำเปอร์โตริโกรุนแรงที่สุดในรอบ 85 ปี
ศูนย์เฮอริเคนแห่งชาติสหรัฐแจ้งว่า ศูนย์กลางเฮอริเคนเสี่ยงสร้างความเสียหายหนัก ล่าสุดขึ้นฝั่งเครือรัฐโดมินิกาแล้วเมื่อเวลา 08.15 น.วันนี้ตามเวลาในไทยด้วยความเร็วลม 257 กิโลเมตรต่อชั่วโมง ทางการโดมินิกาสั่งปิดท่าอากาศยานและท่าเรือ เปิดที่พักพิงทุกแห่ง และขอให้ประชาชนในพื้นที่ลุ่มต่ำหรือริมแม่น้ำอพยพขึ้นที่สูง โดมินิกาซึ่งเป็นอดีตอาณานิคมอังกฤษ มีประชาชน 72,000 คน เคยถูกเฮอริเคนระดับ 5 ถล่มครั้งหลังสุดในปี 2522 เป็นเฮอริเคนเดวิด สร้างความเสียหายด้านชีวิตและทรัพย์สินอย่างกว้างขวาง
ส่วนที่เปอร์โตริโก คาดว่าเฮอริเคนมาเรียจะขึ้นฝั่งภายในวันพุธตามเวลาท้องถิ่น และจะเป็นเฮอริเคนรุนแรงที่สุดในรอบ 85 ปี หลังจากถูกเฮอริเคนระดับ 4 ถล่มเมื่อปี 2475 ทางการขอให้ประชาชนหาที่หลบภัย หลังรอดพ้นจากเฮอริเคนเออร์มา ความรุนแรงระดับ 5 อย่างเฉียดฉิว ไม่ถูกกระหน่ำโดยตรงเมื่อ 2 สัปดาห์ก่อน ขณะที่ทางการหมู่เกาะเวอร์จินขอให้ประชาชนอย่าวางใจและเตรียมตัวรับมือกับพายุให้ดี มาเรียเป็นพายุลำดับที่ 13 ในมหาสมุทรแอตแลนติก เป็นเฮอริเคนลูกที่ 7 ของปีนี้ และเป็นเฮอริเคนใหญ่ลูกที่ 4 ตามหลังฮาร์วีย์ เออร์มา และโฮเซ.-สำนักข่าวไทย
