ฟลอริดา 10 ต.ค. – พายุเฮอริเคนมิลตันจ่อขึ้นฝั่งรัฐฟลอริดาของสหรัฐด้วยความรุนแรงระดับ 3 ในอีกไม่ถึง 1-2 ชั่วโมงข้างหน้านี้ แต่อิทธิพลของเฮอริเคนที่แม้จะลดความรุนแรงลงเล็กน้อย ที่เริ่มทำให้เกิดพายุทอร์นาโดและคลื่นซัดฝั่งรุนแรงแล้ว
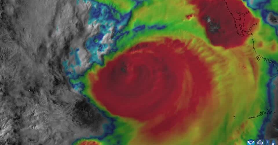
ภาพถ่ายของเฮอริเคนมิลตัน จากสถานีอวกาศนานาชาติ หรือไอเอสเอสเมื่อวานนี้ แสดงให้เห็นพายุกำลังแรงลูกนี้ กำลังเคลื่อนตัวเข้าใกล้ชายฝั่งอ่าวเม็กซิโกที่ติดกับรัฐฟลอริดา แม้จะอ่อนตัวลงเล็กน้อยในช่วงเช้าวันพุธ เป็นระดับ 4 แต่ก็ยังคงเป็นเฮอริเคนที่รุนแรงมาก ความเร็วลมสูงสุดที่จุดศูนย์กลาง 249 กิโลเมตรต่อชั่วโมง กำลังมุ่งหน้าเข้าหาเขตมหานครแทมปาเบย์ ซึ่งเป็นที่อยู่อาศัยของประชากรมากกว่า 3 ล้านคน แม้ว่าเจ้าหน้าที่พยากรณ์อากาศระบุว่า เส้นทางดังกล่าวอาจเปลี่ยนแปลงไปได้ ก่อนพัดขึ้นฝั่งในเวลาราว 20.00 น. วันพุธตามเวลาท้องถิ่น ขณะที่ก่อนหน้านี้ รัฐฟลอริดาประกาศคำสั่งอพยพสำหรับประชาชนนับล้านคนตามแนวชายฝั่งระยะทาง 483 กิโลเมตร เพื่อรับมือเหตุคลื่นสูงซัดชายฝั่ง หรือ สตอร์ม เซิร์จ ที่อันตรายถึงชีวิต ลมกระโชกแรงและฝนตกหนัก

ล่าสุด อิทธิพลของเฮอริเคนมิลตัน ส่งผลให้เกิดพายุทอร์นาโดในหลายพื้นที่ของรัฐฟลอริดาช่วงที่เฮอริเคนพัดใกล้เข้ามา กระแสลมแรงพัดถล่มพื้นที่ชายฝั่ง เศษซากต่าง ๆ ปลิวกระจัดกระจายไปตามท้องถนน ต้นปาล์มโอนเอนไปตามแรงลม เรือประมงที่จอดบริเวณท่าเรือก็โคลงเคลงอย่างน่ากลัว ถนนหลายสายว่างเปล่าไร้ผู้คนและยวดยาน สะท้อนถึงความเร่งด่วนในคำสั่งอพยพ หลายคนเลือกที่จะออกจากพื้นที่เนื่องจากพายุมีความรุนแรงมากขึ้น แต่ก็ต้องฝ่าสายฝนที่ตกหนัก ส่วนผู้คนไม่น้อยที่ตัดสินใจปักหลักในพื้นที่ ซึ่งยังไม่ฟื้นตัวดีจากพายุเฮอริเคนเฮลีน ที่พัดถล่มเพียงไม่กี่สัปดาห์ก่อนหน้านั้น ก็ต่างเตรียมรับมือกับพายุที่อาจสร้างความเสียหายอีกครั้ง

ด้านประธานาธิบดีโจ ไบเดน ผู้นำสหรัฐแถลงว่า แม้จะลดความรุนแรงลง แต่เฮอริเคนมิลตันยังคงเป็นเฮอริเคนที่คาดว่า จะพัดถล่มและสร้างความเสียหายรุนแรงให้รัฐฟลอริดาในรอบร้อยปี เขาขอให้ประชาชนเตรียมพร้อมรับมือ และว่ารัฐบาลกลางได้กดดันบริษัทห้างร้านต่าง ๆ ให้ตรึงราคาสินค้าช่วงที่เฮอริเคนมิลตันพัดถล่มฟลอริดา เพื่อให้ประชาชนสามารถเข้าถึงน้ำมันเบนซิน เที่ยวบิน และสินค้าจำเป็นอื่น ๆ ได้โดยไม่ต้องจ่ายเงินมากเกินไป.-815.-สำนักข่าวไทย