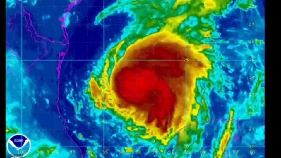
ไมแอมี 25 ส.ค.- ศูนย์เฮอริเคนแห่งชาติสหรัฐ แจ้งว่า เฮอริเคนฮาร์วีย์ได้ทวีกำลังจากระดับ 1 ขึ้นเป็นระดับ 2 แล้ว ขณะที่ผู้อาศัยอยู่ริมชายฝั่งรัฐเทกซัสยังคงลังเลใจว่าจะอพยพ หรืออยู่เสี่ยงภัยในบ้านต่อไป
ศูนย์เฮอริเคนแห่งชาติ พยากรณ์ว่า เฮอริเคนฮาร์วีย์จะขึ้นฝั่งรัฐเทกซัสในวันนี้ คาดว่าจะทำให้ฝนตกมากถึง 35 นิ้ว เกิดคลื่นสูงอันตราย พื้นที่ตามชายฝั่งอาจมีน้ำท่วมสูง 1.80-3.65 เมตร จากนั้นเฮอริเคนจะทวีกำลังขึ้นเป็นระดับ 3 ความเร็วลมไม่ต่ำกว่า 177 กิโลเมตร/ชั่วโมง เมื่อขึ้นฝั่งตอนกลางรัฐเทกซัส ในช่วงเย็นวันศุกร์ หรือเช้าวันเสาร์ ตามเวลาท้องถิ่น ก่อนจะเคลื่อนผ่านทั่วทั้งรัฐ
รถโดยสารจำนวนหนึ่งยังคงทยอยอพยพประชาชนที่อยู่ในเส้นทางผ่านของเฮอริเคน หลังจากเทศมณฑลอย่างน้อย 6 แห่ง ริมฝั่งรัฐเทกซัส ประกาศอพยพโดยสมัครใจหรือบังคับแล้ว ท่าอากาศยานเมืองคอร์ปัสคริสตี ทางตอนใต้ของรัฐ ยังเปิดทำการ แต่เที่ยวบินทั้งหมดถูกงดแล้ว.- สำนักข่าวไทย
