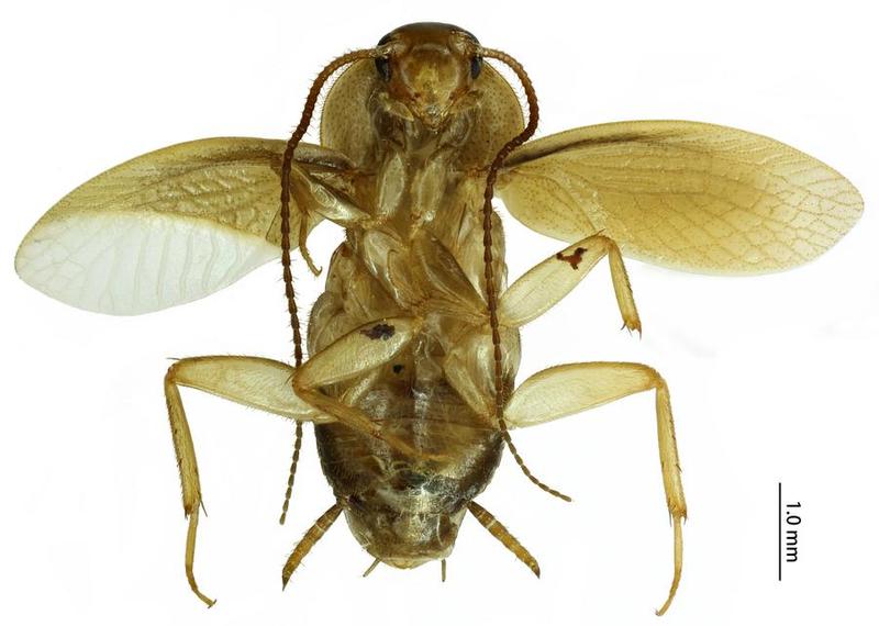
กว่างโจว, 20 พ.ย. (ซินหัว) — เมื่อไม่นานนี้ สำนักงานศุลกากรท่าเรือจงซาน เมืองจงซาน มณฑลกว่างตง (กวางตุ้ง) ทางตอนใต้ของจีน เปิดเผยว่าแมลงสาบตัวหนึ่ง ซึ่งถูกตรวจพบในชุดไม้ซุงที่ขนส่งมาจากทวีปอเมริกาใต้ จัดเป็นแมลงสาบสายพันธุ์ใหม่
รายงานระบุว่าสำนักงานฯ ตรวจพบแมลงลักษณะคล้ายแมลงสาบ ขณะตรวจสอบไม้ซุงที่นำเข้าจากจังหวัดเฟรนช์เกียนาของฝรั่งเศสเมื่อเดือนพฤษภาคมปีก่อน
ผลการตรวจสอบดีเอ็นเอและลักษณะทางสัณฐานวิทยาของแมลงตัวดังกล่าวไม่ตรงกับข้อมูลแมลงสาบที่มีอยู่ และผลการวิจัยเพิ่มเติมยืนยันว่ามันเป็นแมลงสาบจากตระกูลละตินเดีย (Latindia) ที่ไม่เคยมีการบันทึกสายพันธุ์มาก่อนในจีน
ทั้งนี้ ผลการวิจัยข้างต้นเผยแพร่ผ่านวารสารชีววิทยาพาหะและการควบคุมของจีน (Chinese Journal of Vector Biology and Control)
แมลงสาบจัดเป็นหนึ่งในสัตว์พาหะที่อยู่ภายใต้การเฝ้าติดตามอย่างใกล้ชิดของหน่วยงานศุลกากร เนื่องจากมันสามารถปรับตัวได้ดี มีลูกดก และอาจคุกคามสภาพแวดล้อมทางนิเวศวิทยาและสาธารณสุขของประเทศปลายทาง – สำนักข่าวซินหัว
คลิกเพื่ออ่านข่าวภาษาอังกฤษ https://english.news.cn/20221116/76683ae4b55a4747b5de8d0f31a3cbe1/c.html
อ่านข่าวที่เกี่ยวข้อง https://www.xinhuathai.com/china/321255_20221120
ขอบคุณภาพจาก Xinhua
