นครสวรรค์ 22 เม.ย.- ต่อหลุมรุมต่อยเจ้าหน้าที่พิทักษ์ป่าหน่วยจัดการต้นน้ำขุนน้ำเย็น ขณะตัดหญ้าบริเวณสำนักงานจนเสียชีวิต

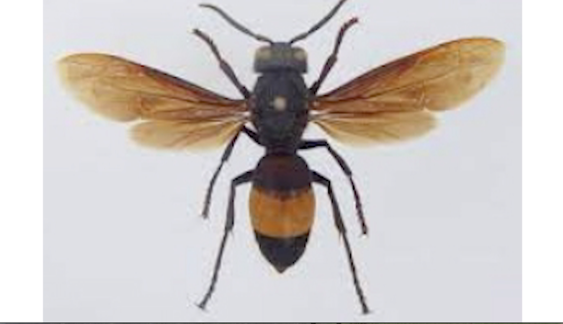
นายธนิตย์ หนูยิ้ม ผอ.สำนักบริหารพื้นที่อนุรักษ์ที่ 12 (นครสวรรค์) เผยว่า เมื่อวานเกิดเหตุสลด นายมานะ มโนเย็น พนักงานราชการ ตำแหน่งพิทักษ์ป่า ปฏิบัติงานประจำหน่วยจัดการต้นน้ำขุนน้ำเย็นซึ่งถูกต่อหัวเสือ หรือต่อหลุมรุมต่อย ขณะกำลังตัดหญ้าดายวัชพืชทำความสะอาดบริเวณสำนักงาน ซึ่งตั้งอยู่กลางป่าลึกในพื้นที่ของอุทยานแห่งชาติแม่วงก์ วงก์ จู่ๆ ได้มีตัวต่อหลุมจำนวนมากบินเข้ามารุมต่อยตรงบริเวณหัวและลำตัว เจ้าหน้าที่ของหน่วยฯ ที่อยู่ใกล้กับที่เกิดเหตุรีบเข้าไปช่วยเหลือด้วยการจุดไฟจากไม้กวาดปัดป้อง เมื่อเห็นว่าตัวต่อบินหายออกไปแล้ว จึงด้แยกตัวเองออกจากผู้ได้รับบาดเจ็บเพื่อไปถอยรถยนต์ ปรากฏว่าขณะถอยรถ ฝูงตัวต่อได้บินมารุมต่อยนายมานะอีกรอบ เพื่อน 2 คน ที่เห็นเหตุการณ์ นำไม้กวาดมาจุดไฟทำเป็นคบเพลิง ใช้ปัดไล่จนตัวต่อทั้งหมดบินออกไป ขณะนำตัวส่งสถานพยาบาล นายมานะไม่รู้สึกตัว ต่อมาหัวใจหยุดเต้น เพื่อนๆ พยายามช่วยกันปั๊มหัวใจแต่ไม่สำเร็จ จนเมื่อมาถึงโรงพยาบาลส่งเสริมสุขภาพตำบลแม่เล่ย์ พยาบาลได้ปั๊มหัวใจต่อ แล้วส่งตัวผู้บาดเจ็บต่อไปโรงพยาบาลแม่วงก์ จ.นครสวรรค์ แพทย์ได้ฉีดยากระตุ้นและช่วยปั๊มหัวใจเป็นครั้งที่ 3 จนผู้บาดเจ็บหัวใจกลับมาเต้นอีกครั้ง แต่พบว่าร่างกายไม่ตอบสนอง และมีชีพจรเต้นเบามาก แพทย์ได้ใส่เครื่องช่วยหายใจ แต่นายมานะเสียชีวิตลงเมื่อเวลา 21.00 น. ที่ผ่านมาเพราะทนพิษบาดแผลที่ถูกต่อต่อยไม่ไหว

เหตุการณ์นี้เป็นเหตุสลดที่เกิดขึ้นห่างกันเพียงวันเดียว หลังเกิดกรณีภารโรงโรงเรียนกาวิละวิทยาลัย จ. เชียงใหม่ ถูกผึ้งหลวงรุมต่อย ขณะใช้เครื่องตัดหญ้าใต้ต้นยางนาในลานกิจกรรมของโรงเรียนจนเสียชีวิตในที่เกิดเหตุ
สำหรับต่อหัวเสือมีพิษอันตรายถึงขั้นเสียชีวิตได้ โดยการต่อยด้วยเหล็กในต่อหัวเสือส่วนใหญ่นอนพักตอนกลางวัน และออกหากินตอนกลางคืน ต่อหัวเสือต่อยได้หลายครั้ง อาการผู้ที่ถูกต่อหัวเสือต่อย จะมีอาการ เช่น คลื่นไส้ อาเจียน เวียนศีรษะ หน้าบวม คอบวม ลิ้นบวม แน่นหน้าอก หายใจติดขัด ผิวหนังปวด บวม เป็นผื่นนูน ชีพจรเต้นเร็วแต่เบา ความดันโลหิตต่ำ

ผู้ที่ถูกต่อหัวเสือต่อยหลายตัว หากรับพิษมากๆ การไหลเวียนโลหิตจะล้มเหลว และจะตายในเวลาต่อมา ผู้ที่ถูกต่อหัวเสือต่อยต้องรีบนำส่งโรงพยาบาลโดยด่วน.-สำนักข่าวไทย
